HOME » 新築一戸建て 船橋市芝山6丁目 N3106-2
新築一戸建て 船橋市芝山6丁目 N3106-2
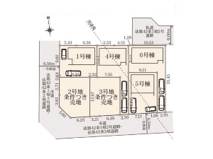
「北習志野」駅徒歩17分。全12区画の分譲地より4号棟をご紹介。
仲介手数料無料
「北習志野」駅徒歩17分。高台の閑静な住宅街に位置します全12区画の分譲地。今回紹介しますのは第1期分4棟の新築のうち4号棟になります。
写真でご覧の通り敷地延長(旗型)の土地形状ではありますが、南側にゆったりお庭スペースも取れてますから、たとえ前面にお家が建ったとしても陽当りは十分確保されるはず。
間取りはLDK17.5帖の4LDK。最近の主流なんでしょう、2階にすべての居室を持っていき可能な限りLDKを広くするというレイアウトですね。2階4つの居室もそれぞれ広さが異なるため、使い方に合わせてベストな広さをチョイス出来ます。これもまたGOOD。例えばリモートワーク用のスペースに6帖は必要ないですものね。
住宅性能評価において耐震性、耐風性を含む7項目で最高等級を取得。もともと地盤も良好なエリアだけにこれは心強いポイントですよね。
完成済です。いつでもご案内可能。もちろん他の棟も合わせてご覧頂けますよ。お気軽にお問い合わせください。
住宅ローンの利用でご購入の場合、月々のお支払い金額は、99,501円です。(借入金額3,690万円、借入期間35年、変動金利2.625%より1.9%優遇後の金利0.725%で計算。)
■西友まで約1,090m、セブンイレブンまで約760mです。
■飯山満幼稚園まで約790m、トット保育園はさままで約730mです。
船橋市 不動産 【家・屋】
※図面と現状が異なる場合は現状を優先します。売却済みの際はご容赦ください。
船橋市 不動産 【家・屋】
物件概要
- 所在地/船橋市芝山6丁目
- 交通/東葉高速鉄道・新京成線
『北習志野』駅徒歩17分
東葉高速鉄道『飯山満』駅徒歩19分 - 価格/3,690万円(税込)
- 土地面積/135.06㎡(41.02坪)
- 私道面積/
- 建物面積/96.05㎡(29.05坪)
- 間取り/4LDK+カースペース2台分
- 構造/木造2階建て
- 土地権利/所有権
- 地目/宅地
- 都市計画/市街化区域
- 用途地域/第1種住居地域
- 建ぺい率/60%
- 容積率/200%
- 築年月/令和6年12月
- 現況/完成済
- 引渡し時期/相談
- 建築確認番号/第24UDI1W建05324号
- 接道状況/西6.5m公道
- 設備/公営水道・都市ガス・公共下水
- 備考/
- 総棟数/12棟
- 今回販売棟数/2棟
- 取引態様/媒介
- 小学校区/高郷小学校(約940m)
- 中学校区/七林中学校(約1,130m)




